• Pagrindinė
  • Žemės sklypas
  • Šalčininkų r.
  • Gornostajiškės

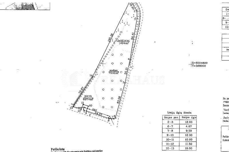
Ieškote ramios ir vaizdingos vietos savo svajonių namams ar sodybai? Tuomet šis 1,60 ha žemės sklypas Gornostajiškių kaime, netoli Padvarionių tvenkinio, yra puikus pasirinkimas!

Sklypas:

Namų valdos paskirtis (viešbučių ir dvibučių gyvenamųjų pastatų teritorija);
Suformuotas atliekant kadastrinius matavimus;
Graži, vaizdinga vieta;
Elektra šalia (transformatorinė netoliese);
Puikus privažiavimas;
Netoliese Padvarionių tvenkinys (15 m) ir Gornostajiškių dvaras;

Patogus susisiekimas:

Iki Eišiškių – 3 km;
Iki Butrimonių – 14 km;
Iki Šalčininkų – 30 km;
Iki Vilniaus – 73 km.

Įsivaizduokite:

Ryte pabundate savo jaukioje sodyboje, apsuptoje gamtos ramybės.
Pro langus atsiveria nuostabūs vaizdai į ežerą ir aplinkinius miškus.
Jūs ilsitės savo terasoje, mėgaudamiesi grynu oru ir paukščių giesmėmis.
Vasarą maudotės ežere, o žiemą – žvejojate ar slidinėjate.

Tai – ideali vieta:

Norintiems pabėgti nuo miesto šurmulio ir rasti ramybę gamtoje;
Auginti vaikus sveikoje aplinkoje;
Įgyvendinti savo svajonę apie sodybą prie ežero.
 

Nesnauskite – šis sklypas gali tapti jūsų svajonių realybe!

Susisiekite su mumis šiandien ir sužinokite daugiau!

 

Kontaktai:

Telefonas: +370 64077500
El. paštas: [email protected]

Nepraleiskite progos įsigyti šį unikalų sklypą!

Parduodamas Žemės sklypas 1 Kambarys(-iai) Šalčininkų r. Gornostajiškės,
+

Pardavimo kaina 32,000 (0.00 €/m2)
  • Žemės plotas 160 a
  • 1 Kambarys(-iai)
  • aukštas 1
NT BROKERĖ DIANA BELOBORODAJA +370 52338866; +370 65547462
[email protected]
Vardas Būtinas laukas
el.paštas Būtinas laukas INCORRECT_EMAIL
Telefonas Būtinas laukas
Pranešimas Būtinas laukas
  • Funkcijos
    • Pastato tipas -
    • Žemės paskirtis Namų valda
    • Būklė -
    • Statybos metai -
    • Parkingas -
    • Šildymo sistema -
  • Kambariai
    • Virtuvė -
    • Kambarys -
    • Vonios kambarys -
    • Balkonas -
    • Sandėliavimo patalpa -
    • Rūsys -
  • GALIMYBĖS
    • Nuolatinis vanduo -
    • Elektra
    • Dujos -
    • Galimybė įvesti dujas -
    • Internetas -
    • Palydovinė televizija -
    • Kabeline TV -
    • Kondicionierius -
  • Paslaugos
    • Liftas -
    • Sporto salė -
    • Žaidimų aikštelė -
    • Baseinas -
    • Saugumo sistema -
    • Domofonas -